Submitted:
09 October 2024
Posted:
10 October 2024
You are already at the latest version
Abstract
Keywords:
1. Introduction
2. Materials and Methods
2.1. Description of the Studied Area
2.2. Soil Sampling and Analysis
2.3. Analytical Procedures
2.4. Pollution Indices of Soil Contamination and Potential Human Health Risk Assessment
3. Results
3.1. XRF Soil Analysis
3.2. Results of Pollution Indices of Soil Contamination and Potential Human Health Risk Assessment
Coefficient of Variation
Correlation Coefficients
The Integrated Pollution Index (IPI)
The Geo-Accumulation Index (Igeo)
The Enrichment Coefficient (EC)
Potential Health Risk Assessment
3.3. ATR-FTIR Analysis
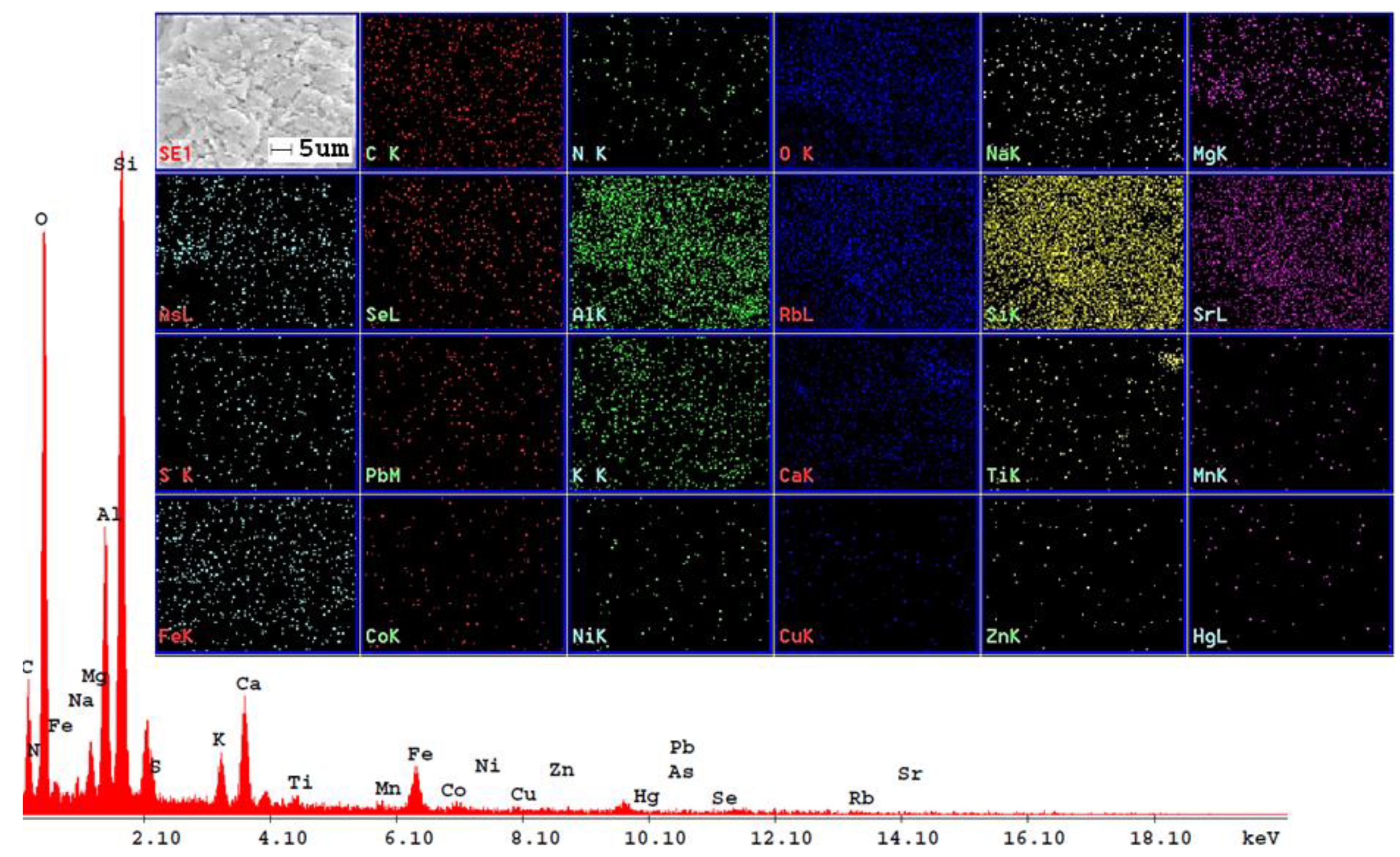
3.4. SEM-EDX Analysis Regarding Microstructure and Variability of Elements in the Playgrounds’ Soil
4. Conclusions
Author Contributions
Funding
Institutional Review Board Statement
Informed Consent Statement
Data Availability Statement
Acknowledgments
Conflicts of Interest
References
- Suciu, I.; Cosma, C.; Todica, M.; Bolboaca, S.D.; Jäntschi, L. Analysis of Soil Heavy Metal Pollution and Pattern in Central Transylvania. Int. J. Mol. Sci. 2008, 9, 434–453. [Google Scholar] [CrossRef]
- Tong, S.; Li, H.; Wang, L.; Tudi, M.; Yang, L. Concentration, Spatial Distribution, Contamination Degree and Human Health Risk Assessment of Heavy Metals in Urban Soils across China between 2003 and 2019—A Systematic Review. Int. J. Environ. Res. Public Health 2020, 17, 3099. [Google Scholar] [CrossRef] [PubMed]
- Gagiu, C.; Pica, E.M.; Querol, X.; Botezan, C.S. Analysis of predictors related to soil contamination in recreational areas of Romania. Environ. Sci. Pollut. Res. 2015, 22, 18885–18893. [Google Scholar] [CrossRef] [PubMed]
- Rodríguez-Oroz, D.; Vidal, R.; Fernandoy, F.; Lambert, F.; Quiero, F. Metal concentrations and source identification in Chilean public children’s playgrounds. Environ. Monit. Assess. 2018, 190, 703. [Google Scholar] [CrossRef]
- Zgłobicki, W.; Telecka, M.; Skupiński, S. Heavy metals in playgrounds in Lublin (E Poland): sources, pollution levels and health risk. Environ Sci Pollut Res 2021, 28, 18328–18341. [Google Scholar] [CrossRef]
- Lacatusu, R.; Lacatusu, A.R.; Lungu, M.; Breabăn, I. Macro- and microelements abundance in some urban soils from Romania. Carpath J Earth Env 2008, 3, 75–83. Available online: https://www.cjees.ro/viewTopic.php?topicId=36 (accessed on 25 July 2021).
- Ungureanu, T.; Iancu, G.O.; Pintilei, M.; Chicoș, M.M. Spatial distribution and geochemistry of heavy metals in soils: A case study from the NE area of Vaslui county, Romania. J. Geochem. Explor. 2017, 176, 20–32. [Google Scholar] [CrossRef]
- Massas, I.; Ehaliotis, C.; Kalivas, D.; Panagopoulou, G. Concentrations and Availability Indicators of Soil Heavy Metals; the Case of Children’s Playgrounds in the City of Athens (Greece). Water Air Soil Pollut. 2010, 212, 51–63. [Google Scholar] [CrossRef]
- Faciu, M.E.; Ifrim, I.L.; Lazar, G. Building an integrated environmental monitoring system for heavy metals in Romanian soils: Moldova region case study. Environ. Eng. Manag. J. 2012, 11, 2185–2201. [Google Scholar] [CrossRef]
- Gorbunov, A.V.; Lyapunov, S.M.; Okina, O.I.; Frontasieva, M.V.; Pavlov, S.S.; Ilichenko, I.N. Nuclear–Physical Analysis Methods in Medical Geology: Assessment of the Impact of Environmental Factors on Human Health. Phys. Part. Nucl. 2015, 46, 424–451. [Google Scholar] [CrossRef]
- Apostoae, L.; Heavy Metal Contents In The Soil Of The Botanical Garden In Iasi, Romania. Carpathian J. Earth Environ. Sci. 2016, 11, 519–528. Available online: https://www.cjees.ro/viewTopic.php?topicId=638 (accessed on 16 October 2022).
- Sapcanin, A.; Cakal, M.; Jacimovic, Z.; Pehlic, E.; Jancan, G. Soil pollution fingerprints of children playgrounds in Sarajevo city, Bosnia and Herzegovina. Environ. Sci. Pollut. Res. 2017, 24, 10949–10954. [Google Scholar] [CrossRef] [PubMed]
- Schiavo, B.; Meza-Figueroa, D.; Morton-Bermea, O.; Vizuete-Jaramillo, E.; Robles-Morua, A. Seasonal variation of mercury in settled dust from brick kiln pollution in Sonora, Mexico: Ecological risk and human health implication. Atmos. Pollut. Res. 2023, 14, 101787. [Google Scholar] [CrossRef]
- Pikula, D.; Stepien, W. Effect of the Degree of Soil Contamination with Heavy Metals on Their Mobility in the Soil Profile in a Microplot Experiment. Agronomy 2021, 11, l878. [Google Scholar] [CrossRef]
- Verla, E.N.; Verla, A.W.; Enyoh, C.E. Bioavailability, Average Daily Dose and Risk of Heavy Metals in Soils from Children Playgrounds Within Owerri, Imo State, Nigeria. Chem Afr 2020, 3, 427–438. [Google Scholar] [CrossRef]
- Miguel, E.D.; Chacon, E.; Mingot, J.; Charlesworth, S. The relationship between soil geochemistry and the bioaccessibility of trace elements in playground soil. Environ Geochem Health 2012, 34, 677–687. [Google Scholar] [CrossRef]
- Apostoae, L.; Radu, E.; Iancu, O.G. ; Spatial distribution and assessment of heavy metal pollution in the soils of Copou Park, Iasi, Romania. Analele Stiintifice ale Universitatii “Al. I. Cuza” din Iasi Seria Geologie 2013, 59, 23–49. Available online: http://geology.uaic.ro/auig/article.php?id=99 (accessed on 07 November 2022).
- Apostoae, L.; Iancu, O.G. Heavy metals contents of urban soils in parks of Iasi, Romania. Analele Stiintifice ale Universitatii “Al. I. Cuza” din Iasi. Seria Geologie 2014, 60, 31–53. Available online: http://geology.uaic.ro/auig/articole/2014%20no2/L02-Apostoae.pdf (accessed on 07 November 2022).
- Air quality plan for Galati municipality for 2018 edition. Available online: https://www.primariagalati.ro/ (accessed on 15.07.2021).
- Richmond, S.A.; Clemen, T.; Pike, I.; Macpherson, A. A systematic review of the risk factors and interventions for the prevention of playground injuries. Can. J. Public Health 2018, 109, 134–149. [Google Scholar] [CrossRef]
- Kumar, A.; Cabral-Pinto, M.; Kumar, A.; Kumar, M.; Dinis, P.A. Estimation of Risk to the Eco-Environment and Human Health of Using Heavy Metals in the Uttarakhand Himalaya, India. Appl. Sci. 2020, 10, 7078. [Google Scholar] [CrossRef]
- Garcia-Rico, L.; Burgess, J.L.; Martinez-Cinco, M.; Meza-Figueroa, D.; O’Rourke, M.K.; Meza-Montenegro, M.M.; Beamer, P.I.; Lantz, C.R.; Mondaca-Fernandez, I.; Furlong, M.; Balderas-Cortes, J. J. Serum matrix metalloproteinase-9 in children exposed to arsenic from playground dust at elementary schools in Hermosillo, Sonora, Mexico. Environ. Geochem. Health. 2020, 42, 499–511. [Google Scholar] [CrossRef]
- Herbón, C.; Barral, M.T.; Paradelo, R. Potentially Toxic Trace Elements in the Urban Soils of Santiago de Compostela (Northwestern Spain). Appl. Sci. 2021, 11, 4211. [Google Scholar] [CrossRef]
- Verla, E.N.; Verla, A.W.; Osisi, A.F.; Okeke, P.N.; Enyoh, C.E. Finding a relationship between mobility factors of selected heavy metals and soil particle size in soils from children’s playgrounds. Environ Monit Assess 2019, 191, 742. [Google Scholar] [CrossRef] [PubMed]
- Gredilla, A.; Carrero, J.A.; de Vallejuelo, S.F.O.; de Leão, F.B.; Gomez-Nubla, L.; Madariaga, J.M.; Silva, L.F.O. Are children playgrounds safe play areas? Inorganic analysis and lead isotope ratios for contamination assessment in recreational (Brazilian) parks. Environ. Sci. Pollut. Res. 2017, 24, 24333–24345. [Google Scholar] [CrossRef] [PubMed]
- Laha, T.; Gope, M.; Datta, S.; Masto, R.E.; Balachandran, S. Oral bioaccessibility of potentially toxic elements (PTEs) and related health risk in urban playground soil from a medieval bell metal industrial town Khagra, India. Environ. Geochem. Health. 2023, 45, 5619–5637. [Google Scholar] [CrossRef]
- Li, R.; Yuan, Y.; Li, C.; Sun, W.; Yang, M.; Wang, X. Environmental Health and Ecological Risk Assessment of Soil Heavy Metal Pollution in the Coastal Cities of Estuarine Bay—A Case Study of Hangzhou Bay, China. Toxics 2020, 8, 75. [Google Scholar] [CrossRef]
- Ng, S.L.; Chan, L.S.; Lam, K.C.; Chan, W.K. Heavy metal contents and magnetic properties of playground dust in Hong Kong. Environ. Monit. Assess. 2003, 89, 221–232. [Google Scholar] [CrossRef]
- Daina, R.L.; Carp, G.; Comparative study of infant and maternal mortality – Romania in a European context. Analele Universităţii din Oradea, Fascicula: Ecotoxicologie, Zootehnie şi Tehnologii de Industrie Alimentară 2015, Vol. XIV/A, 89–94. Available online: https://www.cabidigitallibrary.org/doi/pdf/10.5555/20203489306 (accessed on 23 January 2023).
- Duma, R.O.O.; Rosu, S.T.; Petrariu, F.D.; Manole, M.; Constantin, B. Reduce Child Mortality as A Millennium Development Goal in Romania. Rev. Med. Chir. Soc. Med. Nat., Iasi 2016, 120, 158–162. Available online: https://pubmed.ncbi.nlm.nih.gov/27125090/ (accessed on 23 January 2023).
- Pop, R.T.L.; Burlea, M.; Falup-Pecurariu, O.; Borzan, C.; Gabor-Harosa, F.; Herdea, V.; Pop, C.F.; Rajka, D.; Ognean, M.L.; Căinap, S.S. Overview of the pediatric healthcare system in Romania. Turk. Pediatri Ars. 2020, 55, 69–84. [Google Scholar] [CrossRef]
- Statistical yearbook of Galati municipality 2018 edition. Available online: https://galati.insse.ro (accessed on 15.07.2021).
- Elom, N.I.; Dean, J.R.; Entwistle, J.A. How safe is the playground? An environmental health risk assessment of As and Pb levels in school playing fields in NE England. Environ. Chem. Lett. 2013, 11, 343–351. [Google Scholar] [CrossRef]
- Javed, S.A.; Al-Bratty, M.; Al-Rajab, A.J.; Alhazmi, H.A.; Ahsan, W.; Abdelwahab, S.I.; Thangavel, N. Risk-based exposure assessment for multiple toxic elements encountered by children in school playgrounds and parks in the southwest region of Saudi Arabia. Environ. Monit. Assess. 2019, 191, 549. [Google Scholar] [CrossRef]
- Posta, D.S.; Dorin, C.; Radulov, I.; Berbecea, A. Studies regarding the heavy metal content of the leaves and soil in Betula pendula roth, in the Main Parks of Timisoara, Romania. Rev. Chim. (Bucharest) 2015, 66, 1857–1859. Available online: https://www.researchgate.net/publication/292160213_Studies_regarding_the_heavy_metal_content_of_the_leaves_and_soil_in_Betula_pendula_roth_in_the_Main_Parks_of_Timisoara_Romania (accessed on 09 March 2024).
- Ene, A.; Bosneaga, A.; Georgescu, L. Determination of heavy metals in soils using XRF technique. Rom. J. Phys. 2010, 55, 815–820. [Google Scholar]
- Ene, A.; Pantelică, A.; Sloată, F.; Zakaly, H.M.H.; Tekin, H.O. Gamma spectrometry analysis of natural and man-made radioactivity and assessment of radiological risk in soils around steel industry. Rom. J. Phys. 2023, 68, 803. [Google Scholar] [CrossRef]
- Ene, A.; Moraru, S.S.; Moraru, D.I.; Pantelica, A.; Gosav, S.; Ceoromila, A.M. Major and Trace Element Accumulation in Soils and Crops (Wheat, Corn, Sunflower) around Steel Industry in the Lower Danube Basin and Associated Ecological and Health Risks. Appl. Sci. 2024, 14, 5616. [Google Scholar] [CrossRef]
- Ene, A.; Sloată, F.; Frontasyeva, M.V.; Duliu, O.G.; Sion, A.; Gosav, S.; Persa, D. Multi-Elemental Characterization of Soils in the Vicinity of Siderurgical Industry: Levels, Depth Migration and Toxic Risk. Minerals 2024, 14, 559. [Google Scholar] [CrossRef]
- Weindorf, D.C.; Chakraborty, S. Portable X-ray fluorescence spectrometry analysis of soils. Soil Sci. Soc. Am. J. 2020, 84, 1384–1392. [Google Scholar] [CrossRef]
- Innov-X systems manual, Available online:. Available online: https://www.equipcoservices.com/pdf/manuals/innov-x_alpha_series.pdf (accessed on 18 May 2020).
- Marguí, E.; Queralt, I.; de Almeida, E. X-ray fluorescence spectrometry for environmental analysis: Basic principles, instrumentation, applications and recent trends. Chemosphere 2022, 303, 135006. [Google Scholar] [CrossRef]
- Volkov, D.S.; Rogova, O.B.; Proskurnin, M.A. Organic Matter and Mineral Composition of Silicate Soils: FTIR Comparison Study by Photoacoustic, Diffuse Reflectance, and Attenuated Total Reflection Modalities. Agronomy 2021, 11, 1879. [Google Scholar] [CrossRef]
- Sion, A.; Gosav, S.; Ene, A. ATR-FTIR qualitative mineralogical analysis of playground soils from Galati city, SE Romania. Ann. Dunarea de Jos Univ. Galati Fasc. II Math. Phys. Theor. Mech. 2020, 43, 141–146. [Google Scholar] [CrossRef]
- Rodriguez-Proteau, R.; Grant, R.L. Toxicity Evaluation and Human Health Risk Assessment of Surface and Ground Water Contaminated by Recycled Hazardous Waste Materials. Kassim T.A. (eds) Water Pollution. The Handbook of Environmental Chemistry, vol 2. Springer, Berlin, Heidelberg, 2005. [CrossRef]
- Zhang, S.; Han, Y.; Peng, J.; Chen, Y.; Zhan, L.; Li, J. Human health risk assessment for contaminated sites: A retrospective review, Environ. Int. 2023, 171, 107700. [Google Scholar] [CrossRef]
- Battsengel, E.; Murayama, T.; Fukushi, K.; Nishikizawa, S.; Chonokhuu, S.; Ochir, A.; Tsetsgee, S.; Davaasuren, D. Ecological and Human Health Risk Assessment of Heavy Metal Pollution in the Soil of the Ger District in Ulaanbaatar, Mongolia. Int. J. Environ. Res. Public Health 2020, 17, 4668. [Google Scholar] [CrossRef] [PubMed]
- Reference dose (RfD) description and use health risk assessments. Available online: https://www.epa.gov/iris/reference-dose-rfd-description-and-use-health-risk-assessments (accessed on 15 October 2021).
- Wcisło, E. Chapter 8. Health risk assessment in contaminated site management. In Integrated Environmental Management of Land and Soil in European Urban Areas, Starzewska-Sikorska, A.; Rosik-Dulewska, C. (eds.), Institute of Environmental Engineering of the Polish Academy of Sciences: Zabrze, 2021; Volume 93, pp. 116–135. Available online: https://www.researchgate.net/publication/357776272_Health_risk_assessment_in_contaminated_site_management#fullTextFileContent (accessed on 24 June 2022).
- Sahakyan, L.; Tepanosyan, G.; Maghakyan, N.; Kafyan, M.; Melkonyan, G.; Saghatelyan, A. Contamination levels and human health risk assessment of mercury in dust and soils of the urban environment, Vanadzor, Armenia. Atmos. Pollut. Res. 2019, 10, 808–816. [Google Scholar] [CrossRef]
- Fang, F.; Wang, H.; Lin, Y. Spatial distribution, bioavailability, and health risk assessment of soil Hg in Wuhu urban area, China. Environ. Monit. Assess. 2011, 179, 255–265. [Google Scholar] [CrossRef] [PubMed]
- Adriano, D.C. Trace Elements in the Terrestrial Environment, Biochemistry, Bio-availability and Risks of Metals. 2nd edition, 2001. [Google Scholar] [CrossRef]
- Salminen, R. (Ed.) Geochemical Atlas of Europe, Part I—Background Information, Methodology and Maps, FOREGS. 2005. Available online: http://weppi.gtk.fi/publ/foregsatlas/articles/Statistics.pdf (accessed on 19 April 2022).
- Order, no. 756/03.11.1997 “Regulations regarding environmental pollution assessment”. Available online: https://biosol.ro/wp-content/uploads/linkuri/ord-756-din-03-11-1997-pentru-aprobarea-Reglementarii-privind-evaluarea-poluarii-mediului.pdf (accessed on 03 August 2021).
- Sion, A.; Gîrmacea, A.-C.; Ene, A.; Timofti, M. The effect of road and railway traffic on the soil quality from the Public Garden of Galati, Romania. Ann. Dunarea de Jos Univ. Galati Fasc. II Math. Phys. Theor. Mech. 2023, 46, 32–38. [Google Scholar] [CrossRef]
- De Miguel, E.; Mingot, J.; Chacón, E.; Charlesworth, S. The relationship between soil geochemistry and the bioaccessibility of trace elements in playground soil. Environ. Geochem. Health 2012, 34, 677–687. [Google Scholar] [CrossRef]
- Tang, H.; Hassan, M.U.; Nawaz, M.; Yang, W.; Liu, Y.; Yang, B. A review on sources of soil antimony pollution and recent progress on remediation of antimony polluted soils. Ecotoxicol. Environ. Saf. 2023, 266, 115583. [Google Scholar] [CrossRef]
- Shahid, M.; Ferrand, E.; Schreck, E.; Dumat, C. Behavior and Impact of Zirconium in the Soil–Plant System: Plant Uptake and Phytotoxicity. Rev Environ Contam Toxicol 2013, 221, 107–127. [Google Scholar] [CrossRef]
- Khan, A.; Lu, G.; Ayaz, M.; Zhang, H.; Wang, R.; Lv, F.; Yang, X.; Sun, B.; Zhang, S. Phosphorus efficiency, soil phosphorus dynamics and critical phosphorus level under long-term fertilization for single and double cropping systems. Agric. Ecosyst. Environ. 2018, 256, 1–11. [Google Scholar] [CrossRef]
- Jung, Y.; Kim, H.; Lim, J.M.; Chung, K. H. Feasibility study of an analytical method for detecting 90Sr in soil using DGA resin and Sr resin. J Radioanal Nucl Chem 2017, 313, 401–408. [Google Scholar] [CrossRef]
- Faciu (Chirila), M.E.; Lazar, G.; Nedef, V. The assessment of heavy metals concentration in Bacau City soil. Necessity and working methods. Journal of Engineering Studies and Research 2012, 18, 80–94. Available online: https://www.researchgate.net/publication/275022419_THE_ASSESSMENT_OF_HEAVY_METALS_CONCENTRATION_IN_BACAU_CITY_SOIL_NECESSITY_AND_WORKING_METHODS (accessed on 05 November 2023).
- Malizia, D.; Giuliano, A.; Ortaggi, G.; Masotti, A. Common plants as alternative analytical tools to monitor heavy metals in soil. Chem. Cent. J. 2012, 6. [Google Scholar] [CrossRef] [PubMed]
- Hiller, E.; Filová, L.; Jurkovič, L.; Lachká, L.; Kulikova, T.; Šimurková, M. Arsenic in Playground Soils from Kindergartens and Green Recreational Areas of Bratislava City (Slovakia): Occurrence and Gastric Bioaccessibility. Arch. Environ. Contam. Toxicol. 2018, 75, 402–414. [Google Scholar] [CrossRef] [PubMed]
- Button, C.E. ; Soil lead contamination at child day care centers in the greater Cincinnati area. Environmentalist 2008, 28, 69–75. [Google Scholar] [CrossRef]
- Ottesen, R.T.; Alexander, J.; Langedal, M.; Haugland, T.; Høygaard, E. Soil pollution in day-care centers and playgrounds in Norway: national action plan for mapping and remediation. Environ. Geochem. Health 2008, 30, 623–637. [Google Scholar] [CrossRef]
- World Health Organization (WHO). Blood lead levels in children. Fact Sheet no. 4.5, 2007. Available online: https://www.euro.who.int (accessed on 5 June 2020).
- Khan, F.; Momtaz, S.; Abdollahi, M. The relationship between mercury exposure and epigenetic alterations regarding human health, risk assessment and diagnostic strategies. J. Trace Elem. Med. Biol. 2019, 52, 37–47. [Google Scholar] [CrossRef]
- Counter, S.A.; Buchanan, L.H. Mercury exposure in children: a review. Toxicol. Appl. Pharmacol. 2004, 198, 209–230. [Google Scholar] [CrossRef]
- Beckers, F.; Rinklebe, J. Cycling of mercury in the environment: Sources, fate, and human health implications: A review. Crit. Rev. Env. Sci. Tec. 2017, 47, 693–794. [Google Scholar] [CrossRef]
- Fthenakis, V.M.; Lipfert, F.W.; Moskowitz, P.D.; Saroff, L. An assessment of mercury emissions and health risks from a coal-fired power plant. J. Hazard. Mater. 1995, 44, 267–283. [Google Scholar] [CrossRef]
- Nakazawa, K.; Nagafuchi, O.; Kawakami, T.; Inoue, T.; Yokota, K.; Serikawa, Y.; Cyio, B.; Elvince, R. Human health risk assessment of mercury vapor around artisanal small-scale gold mining area, Palu city, Central Sulawesi, Indonesia. Ecotoxicol. Environ. Saf. 2016, 124, 155–162. [Google Scholar] [CrossRef]
- Li, W.C.; Tse, H.F. Health risk and significance of mercury in the environment. Environ. Sci. Pollut. Res. 2015, 22, 192–201. [Google Scholar] [CrossRef]
- Sahakyan, L.; Tepanosyan, G.; Maghakyan, N.; Kafyan, M.; Melkonyan, G.; Saghatelyan, A. Contamination levels and human health risk assessment of mercury in dust and soils of the urban environment, Vanadzor, Armenia. Atmos. Pollut. Res. 2019, 10, 808–816. [Google Scholar] [CrossRef]
- Lonati, G.; Zanoni, F. Monte-Carlo human health risk assessment of mercury emissions from a MSW gasification plant. Waste Manag. Res. 2013, 33, 347–355. [Google Scholar] [CrossRef] [PubMed]
- Jiang, L.; Zhang, R.; Zhang, L.; Zheng, R.; Zhong, M. Improving the regulatory health risk assessment of mercury-contaminated sites. J. Hazard. Mater. 2021, 402, 123493. [Google Scholar] [CrossRef] [PubMed]
- Minamata Convention on Mercury. Available online: https://www.unep.org/resources/report/minamata-convention-mercury (accessed on 15 July 2024).
- Asylbaev, I.G.; Khabirov, I.K. The contents of alkali and alkaline earth metals in soils of the southern Cis-Ural region. Eurasian Soil Sci. 2016, 49, 24–32. [Google Scholar] [CrossRef]










| Indices | Information | Equation | Pollution classification | References |
|---|---|---|---|---|
| IPI | Soil contamination also can be described using the integrated pollution index (IPI), that is defined as the ratio between the measured concentration of heavy metals and the reference values from national legislations that are expressing normality for Romanian soils. | If IPI value is < 1 the level of pollution is low, if 1<IPI<2 is an average level of pollution and if IPI>2 is considered to be a high level of pollution. | [Gagiu et al. 2015] | |
| Igeo | The geo-accumulation index (Igeo) is indicating the potential anthropogenic input of heavy metals into soils.Ci is the measured concentration of heavy metals in soil; NV is the normal value and 1.5 is the background matrix correction factor due to lithogenic effects. | If the results are smaller or equal to 0 there is an unpolluted soil; 0-1 the soil is unpolluted to moderate pollution soil; 1-2 the soil is moderate polluted; 3-4 the soil is moderate to strongly polluted; 4-5 the soil is strongly polluted; > 5 the soil is very strongly polluted. | [Apostoae et al., 2013; Apostoae and Iancu 2014; Laha et al. 2023] | |
| EC | Enrichment coefficient (EC) is a factor that is used to compare the heavy metal concentration from soil (Ci) with the element composition from the earth’s crust (Ccrust), establishing the level of anthropogenic input. | EC <1 there is no or is an insignificant enrichment but if the value is > 1 are considered to be enrichments from different sources. | [Javed et al. 2019; Laha et al. 2023] | |
| EDI ingestion | The exposure of the children that are playing in playgrounds and parks to the heavy metals found in soil and dust can occur via three ways: direct ingestion, inhalation and dermal contact. EDIingestion, EDIinhalation, EDIdermal and EDIvaporization (mg kg-1 day-1) are the estimate daily intakes via ingestion, inhalation, dermal and vaporization pathways. These factors are assessing the non-carcinogenic risk of daily exposure of children to polluted soils from parks. | If the values of HQ and HI are smaller than 1, there is no risk presented, but if the values are higher than 1 there are present non-carcinogenic health risks. | [Rodriguez et al. 2005; Javed et al. 2019; Battsengel et al. 2020; Zgłobicki et al. 2021; Schiavo et al. 2023] | |
| EDI inhalation | ||||
| EDI dermal | ||||
| EDI vaporization | ||||
| HQ ing | Hazard quotient (HQ) was calculated in order to establish the potential risks that are subjected children if they are in contact with the polluted soil. HQ is an estimation of a non-carcinogenic risk due to the exposure to pollutants found in soils with respect to their estimated daily intake (RfD)(mg kg-1 day-1). | |||
| HQ inhal | ||||
| HQ dermal | ||||
| HQ vaporization | ||||
| HI | Hazard index (HI) was calculated as a sum of the entire hazard quotient. |
| Parameter | Definition | Unit | Children | References |
|---|---|---|---|---|
| IngR | Soil ingestion rate depending on age | [mg/day] | 200 | [Schiavo et al., 2023, Sahakyan et al., 2019, Battsengel et al., 2020] |
| EF | Exposure frequency | [days/year] | 350 days | [Schiavo et al., 2023, Sahakyan et al., 2019, Battsengel et al., 2020] |
| ED | Exposure duration | [year] | 6 | [Schiavo et al., 2023, Sahakyan et al., 2019, Battsengel et al., 2020] |
| Bw | Average body weight | [kg] | 15 | [Schiavo et al., 2023, Sahakyan et al., 2019, Battsengel et al., 2020] |
| AT | Average time | [days] | ED X 365 | [Schiavo et al., 2023, Sahakyan et al., 2019, Battsengel et al., 2020] |
| InhR | Inhalation rate | [m3/day] | 7.6 | [Schiavo et al., 2023 ,Sahakyan et al., 2019, Battsengel et al., 2020] |
| PEF | Particle emission factor | [m3/kg] | 1.36x109 | [Schiavo et al., 2023, Sahakyan et al., 2019, Battsengel et al., 2020] |
| SA | Skin area exposed to the pollutant | [cm2/day] | 2800 | [Sahakyan et al., 2019, Battsengel et al., 2020] |
| SAF | Skin adherence factor | [mg/cm] | 0.2 | [Schiavo et al., 2023, Sahakyan et al., 2019, Battsengel et al., 2020] |
| ABS | Dermal absorption factor | none | 0.001 (for all the metals) | [Schiavo et al., 2023 , Battsengel et al., 2020] |
| VF | Volatilization factor | [mg3/kg] | 32675.6 | [Schiavo et al., 2023 , Battsengel et al., 2020] |
| C | Concentration of the element | [mg/kg] |
| Elements | RfD [mg/kg day] | ||||
|---|---|---|---|---|---|
| Pathways | |||||
| Ingestion | Dermal | Inhalation | Inhalation of Hg vapor | ||
| 1 | Cu | 4 10–2(a) | 410–2(a) | 1.210–2(a) | – |
| 2 | Pb | 3.510–3(a) | 3.2510–3(a) | 5.2510–3(a) | – |
| 3 | As | 310–4(a) | 3.0110–4(a) | 1.2310–4(a) | – |
| 4 | Ni | 2 10–2(a) | 2.0610–2(a) | 5.410–3(a) | – |
| 5 | Zn | 310–1(a) | 310–1(a) | 610–2(a) | – |
| 6 | Cd | 110–3(a) | 110–3(a) | 510–5(a) | – |
| 7 | Hg | 310–4(a) | 8.5710–5(a) | 2.110–5(a) | 8.7510–5(b) |
| Location/ Parameter | pH (units) | Conductivity (µS/cm) | Resistivity (MΩcm) | Salinity (PSU) | Total Dissolved Solids (ppm) | Oxidation Reduction Potential (mV) | |
|---|---|---|---|---|---|---|---|
| 1 | PS | 6.96 | 1000 | 0.001 | 0.49 | 500 | 1.8 |
| ES | 7.14 | 765 | 0.0013 | 0.37 | 383 | 7.1 | |
| 2 | PS | 7.37 | 870 | 0.0011 | 0.43 | 435 | 19.3 |
| ES | 7.52 | 777 | 0.0013 | 0.38 | 389 | 18.9 | |
| 3 | PS | 7.24 | 444 | 0.0022 | 0.21 | 222 | 10.6 |
| ES | 7.48 | 396 | 0.0025 | 0.19 | 198 | 8.4 | |
| 4 | PS | 7.14 | 492 | 0.002 | 0.24 | 246 | 6.3 |
| ES | 7.21 | 1318 | 0.0008 | 0.65 | 659 | 9.2 | |
| 5 | PS | 7.61 | 1349 | 0.0007 | 0.67 | 675 | 9 |
| ES | 7.54 | 941 | 0.0011 | 0.46 | 471 | 8.9 | |
| 6 | PS | 7.53 | 991 | 0.001 | 0.49 | 496 | 22.5 |
| ES | 7.21 | 573 | 0.0017 | 0.28 | 287 | 2.4 | |
| 7 | PS | 7.33 | 260.5 | 0.0039 | 0.12 | 130.5 | 8 |
| ES | 7.15 | 221.5 | 0.0046 | 0.11 | 110.5 | 9.05 | |
| 8 | PS | 6.49 | 725.33 | 0.0014 | 0.35 | 363 | 7.57 |
| ES | 6.85 | 224.50 | 0.0045 | 0.11 | 112.50 | 6.15 | |
| 9 | PS | 7.27 | 181 | 0.0056 | 0.09 | 90.50 | 4.50 |
| ES | 7.34 | 232.5 | 0.0043 | 0.11 | 116.5 | 9.05 | |
| 10 | PS | 6.67 | 501.5 | 0.002 | 0.24 | 250.5 | 8.05 |
| ES | 7.22 | 234 | 0.0043 | 0.11 | 117 | 7.4 | |
| Site | Element concentration (mg kg-1) | |||||||||||||||||
|---|---|---|---|---|---|---|---|---|---|---|---|---|---|---|---|---|---|---|
| Sr | Rb | Cu | Pb | As | Co | Cr | Ni | Mn | Zn | Sc | Zr | Hg | V | Sb | Ba | Cd | Ag | |
| 1 PS | 84 | 73 | 33 | 22 | 5.6 | 2.4 | 72 | 51 | 724 | 113.3 | <LOD | 327 | 0.9 | 85 | 0.51 | 330 | 0.15 | 3.5 |
| 1 ES | 76 | 87 | 56 | 108 | 5.7 | 2.5 | 65 | 25 | 660 | 383.6 | <LOD | 343 | 0.9 | 92 | 0.51 | 521 | 0.14 | 3.6 |
| 2 PS | 88 | 69 | 50 | 37 | 5.0 | 3.5 | 60 | 48 | 704 | 164.8 | 52 | 301 | 1 | 82 | 0.5 | 434 | 0.07 | 3.3 |
| 2 ES | 135 | 68 | 36 | 29 | 6.0 | 3.7 | 58 | 22 | 640 | 129.4 | <LOD | 298 | 0.9 | 83 | 0.51 | 386 | 0.1 | 2.8 |
| 3 PS | 116 | 51 | 28 | 24 | 6.3 | 2.3 | 66 | 48 | 787 | 142.5 | <LOD | 260 | 1.1 | 61 | 0.48 | 316 | 0.12 | 3.4 |
| 3 ES | 81 | 69 | 25 | 40 | 6.4 | 3.3 | 67 | 31 | 742 | 161.9 | <LOD | 287 | 0.9 | 82 | 0.49 | 374 | 0.12 | 3.7 |
| 4 PS | 68 | 87 | 31 | 16 | 4.0 | 3.4 | 76 | 41 | 803 | 123.3 | <LOD | 245 | 1 | 106 | 0.48 | 512 | 0.09 | 3.4 |
| 4 ES | 75 | 88 | 36 | 23 | 4.5 | 3.0 | 75 | 42 | 731 | 124.4 | <LOD | 287 | 1 | 104 | 0.49 | 447 | 0.13 | 3.6 |
| 5 PS | 74 | 82 | 34 | 29 | 6.9 | 2.6 | 64 | 39 | 729 | 136.9 | <LOD | 334 | 1.2 | 93 | 0.49 | 515 | 0.15 | 3.3 |
| 5 ES | 118 | 72 | 33 | 32 | 6.3 | 2.4 | 62 | 48 | 736 | 127.5 | <LOD | 317 | 1.1 | 79 | 0.5 | 349 | 0.16 | 3.2 |
| 6 PS | 107 | 70 | 55 | 72 | 8.0 | 3.8 | 55 | 30 | 716 | 212.8 | <LOD | 289 | 1.1 | 70 | 0.51 | 370 | 0.17 | 3.5 |
| 6 ES | 111 | 76 | 35 | 92 | 8.4 | 3.9 | 50 | 57 | 753 | 221 | <LOD | 305 | 0.9 | 81 | 0.51 | 431 | 0.23 | 3.4 |
| 7 PS | 67 | 86 | 42 | 16 | 5.0 | 2.5 | 78 | 43 | 837 | 119.6 | <LOD | 307 | 1 | 93 | 0.52 | 482 | 0.1 | 3.3 |
| 7 ES | 64 | 86 | 30 | 21 | 5.3 | 2.8 | 73 | 42 | 777 | 129.7 | 31 | 317 | 1.1 | 90 | 0.53 | 477 | 0.14 | 3.3 |
| 8 PS | 113 | 69 | 45 | 27 | 5.2 | 2.7 | 68 | 23 | 691 | 117.1 | <LOD | 320 | 0.9 | 79 | 0.5 | 407 | 0.16 | 3.5 |
| 8 ES | 80 | 76 | 28 | 29 | 6.0 | 2.8 | 64 | 34 | 761 | 105 | <LOD | 309 | 1 | 80 | 0.51 | 378 | 0.08 | 3.4 |
| 9 PS | 133 | 70 | 39 | 25 | 4.5 | 2.5 | 59 | 41 | 743 | 137.9 | 48 | 304 | 0.8 | 82 | 0.52 | 399 | 0.14 | 3.2 |
| 9 ES | 124 | 70 | 49 | 29 | 4.8 | 2.7 | 59 | 28 | 687 | 118.6 | <LOD | 308 | 1 | 73 | 0.51 | 344 | 0.13 | 3.4 |
| 10 PS | 81 | 70 | 35 | 35 | 4.3 | 2.2 | 49 | 39 | 810 | 155.6 | <LOD | 338 | 1.1 | 79 | 0.53 | 399 | 0.25 | 3.4 |
| 10 ES | 86 | 72 | 40 | 23 | 4.5 | 3.1 | 71 | 25 | 773 | 139.4 | <LOD | 361 | 1 | 89 | 0.54 | 402 | 0.1 | 3.4 |
| Mean | 94.05 | 74.55 | 38.00 | 36.45 | 5.64 | 2.91 | 64.55 | 37.85 | 740.20 | 153.22 | 43.67 | 307.85 | 1.00 | 84.15 | 0.51 | 413.65 | 0.14 | 3.38 |
| Minimum | 64.00 | 51.00 | 25.00 | 16.00 | 4.00 | 2.20 | 49.00 | 22.00 | 640.00 | 105.00 | 31.00 | 245.00 | 0.80 | 61.00 | 0.48 | 316.00 | 0.07 | 2.80 |
| Maximum | 135.00 | 88.00 | 56.00 | 108.00 | 8.40 | 3.90 | 78.00 | 57.00 | 837.00 | 383.60 | 52.00 | 361.00 | 1.20 | 106.00 | 0.54 | 521.00 | 0.25 | 3.70 |
| STD | 23.06 | 9.18 | 8.95 | 24.86 | 1.19 | 0.53 | 8.23 | 10.14 | 50.01 | 62.11 | 11.15 | 27.11 | 0.10 | 10.59 | 0.02 | 62.27 | 0.05 | 0.19 |
| CV | 24.52 | 12.31 | 23.55 | 68.22 | 21.04 | 18.16 | 12.75 | 26.80 | 6.76 | 40.54 | 25.54 | 8.81 | 10.04 | 12.58 | 3.21 | 15.05 | 33.04 | 5.56 |
| NV | - | - | 20 | 20 | 5 | 15 | 30 | 20 | 900 | 100 | - | - | 0.1 | 50 | 5 | 200 | 1 | 2 |
| SAT | - | - | 100 | 50 | 15 | 30 | 50 | 75 | 1500 | 300 | - | - | 1 | 100 | 12.5 | 400 | 3 | 10 |
| SIT | - | - | 200 | 100 | 25 | 50 | 100 | 150 | 2500 | 600 | - | - | 2 | 200 | 20 | 1000 | 5 | 20 |
| EUROPE soil (mean)1 | 130 | 86.8 | 17.3 | 32.6 | 11.6 | 10.4 | 94.8 | 37.3 | 810 | 68.1 | 9.1 | 251 | 0.061 | 68.1 | 1.04 | 400 | 0.28 | 0.304 |
| World soil2 | 250 | - | 30 | 35 | 6 | 20 | 70 | 50 | 850 | 90 | - | - | 0.1 | 110 | 1 | 500 | 0.30 | 1 |
| Agricultural area3 | - | - | 27.72 | 10.92 | - | 7.64 | 169.25 | 39.75 | 262.16 | 83.53 | - | - | - | - | - | - | 0.14 | - |
| Industrial area4 | 117.6 | 82.53 | 23.13 | 29.40 | 8.55 | 11.08 | 92.11 | 37.99 | 749.5 | 102.26 | 10.29 | 300.63 | 6.62 | 62.25 | 0.95 | 355.6 | 0.33 | - |
| Urban study5 | 45.00 | 68.36 | 36.60 | 30.10 | 11.44 | - | 78.04 | 58.24 | 563.11 | 91.54 | - | - | - | 86.34 | - | - | - | - |
| Site | Element concentration (g kg-1) | |||||||
|---|---|---|---|---|---|---|---|---|
| Mg | Na | P | Al | Ti | Fe | Ca | K | |
| 1 PS | 8.20 | 11.14 | 0.75 | 67.10 | 3.80 | 22.36 | 38.20 | 17.75 |
| 1 ES | 6.74 | 10.00 | 1.57 | 66.73 | 3.40 | 19.32 | 24.52 | 17.81 |
| 2 PS | 7.47 | 11.13 | 1.02 | 69.63 | 3.62 | 21.72 | 42.32 | 17.38 |
| 2 ES | 10.10 | 10.76 | 1.03 | 67.04 | 3.45 | 21.17 | 59.09 | 17.85 |
| 3 PS | 4.60 | 11.12 | 1.34 | 82.64 | 3.38 | 18.69 | 35.05 | 15.25 |
| 3 ES | 7.18 | 11.46 | 3.01 | 69.01 | 3.47 | 21.84 | 37.22 | 18.54 |
| 4 PS | 5.73 | 11.60 | 1.41 | 55.80 | 3.65 | 24.26 | 13.99 | 20.39 |
| 4 ES | 5.84 | 11.58 | 0.78 | 55.21 | 3.45 | 25.07 | 15.49 | 18.56 |
| 5 PS | 7.36 | 11.38 | 1.11 | 73.09 | 3.93 | 23.70 | 21.95 | 18.83 |
| 5 ES | 6.31 | 11.44 | 0.32 | 71.21 | 3.54 | 22.20 | 36.14 | 18.35 |
| 6 PS | 6.65 | 11.68 | 2.21 | 75.28 | 3.58 | 21.88 | 43.64 | 19.87 |
| 6 ES | 9.46 | 11.10 | 2.23 | 69.57 | 3.37 | 22.18 | 49.29 | 18.11 |
| 7 PS | 5.11 | 12.38 | 0.03 | 60.80 | 3.70 | 24.61 | 15.89 | 19.05 |
| 7 ES | 5.30 | 11.70 | 0.40 | 67.83 | 3.72 | 24.83 | 17.92 | 19.93 |
| 8 PS | 4.39 | 12.27 | 0.38 | 71.55 | 3.63 | 21.24 | 41.23 | 17.62 |
| 8 ES | 4.05 | 12.49 | 0.28 | 72.18 | 3.59 | 24.02 | 31.28 | 18.19 |
| 9 PS | 3.54 | 12.49 | 0.57 | 74.11 | 3.64 | 21.69 | 44.11 | 17.90 |
| 9 ES | 4.12 | 12.34 | 0.17 | 74.03 | 3.30 | 21.23 | 42.39 | 16.51 |
| 10 PS | 0.765 | 12.73 | 1.01 | 78.82 | 3.81 | 22.77 | 11.78 | 9.13 |
| 10 ES | 1.53 | 12.90 | 0.73 | 76.81 | 3.57 | 21.65 | 25.11 | 18.47 |
| Mean | 5.72 | 11.68 | 1.02 | 69.92 | 3.58 | 22.32 | 32.33 | 17.78 |
| Minimum | 0.77 | 10.00 | 0.033 | 55.21 | 3.30 | 18.69 | 11.78 | 9.13 |
| Maximum | 10.10 | 12.90 | 3.01 | 82.64 | 3.93 | 25.07 | 59.09 | 20.39 |
| STD | 2.35 | 0.74 | 0.772 | 6.89 | 0.16 | 17.08 | 13.32 | 2.34 |
| CV | 0.41 | 0.06 | 0.76 | 0.10 | 0.05 | 0.08 | 0.41 | 0.13 |
| EUROPE soil (mean)1 | 11.8 | 11.5 | 1.5 | 105 | 6.09 | 38 | 35.4 | 20.2 |
| Agricultural area2 | - | 6.85 | - | 44.10 | 4.56 | 39.42 | - | - |
| Industrial area3 | 2.7 | 6.88 | - | 44.68 | 3.84 | 31.89 | 29.26 | 16.8 |
| Urban study4 | - | - | - | - | 4.14 | 19.24 | 27.37 | 17.95 |
| a) | |||||||||||||||||||
| Sr | Rb | Cu | Pb | As | Co | Cr | Ni | Mn | Zn | Sc | Zr | Hg | V | Sb | Ba | Cd | Ag | ||
| Sr | 1 | ||||||||||||||||||
| Rb | -0.72 | 1.00 | |||||||||||||||||
| Cu | 0.20 | 0.03 | 1.00 | ||||||||||||||||
| Pb | 0.27 | -0.26 | 0.71 | 1.00 | |||||||||||||||
| As | 0.18 | -0.26 | 0.32 | 0.67 | 1.00 | ||||||||||||||
| Co | -0.07 | 0.21 | 0.65 | 0.58 | 0.27 | 1.00 | |||||||||||||
| Cr | -0.39 | 0.45 | -0.32 | -0.68 | -0.20 | -0.06 | 1.00 | ||||||||||||
| Ni | -0.27 | -0.08 | -0.48 | -0.42 | -0.21 | -0.25 | 0.22 | 1.00 | |||||||||||
| Mn | -0.44 | 0.26 | -0.49 | -0.43 | -0.41 | -0.36 | 0.26 | 0.32 | 1.00 | ||||||||||
| Zn | 0.24 | -0.30 | 0.62 | 0.94 | 0.56 | 0.59 | -0.72 | -0.22 | -0.24 | 1.00 | |||||||||
| Sc | -1.00 | -1.00 | 1.00 | 1.00 | 1.00 | 1.00 | 1.00 | 1.00 | -1.00 | 1.00 | 1.00 | ||||||||
| Zr | -0.11 | 0.12 | 0.15 | 0.07 | 0.04 | -0.44 | -0.34 | -0.15 | -0.28 | -0.10 | -1.00 | 1.00 | |||||||
| Hg | -0.43 | 0.00 | -0.10 | 0.34 | 0.53 | 0.10 | -0.25 | -0.01 | 0.21 | 0.42 | 1.00 | -0.01 | 1.00 | ||||||
| V | -0.70 | 0.93 | -0.20 | -0.50 | -0.48 | 0.13 | 0.53 | 0.09 | 0.26 | -0.49 | 0.00 | -0.11 | 1.00 | ||||||
| Sb | 0.06 | 0.10 | 0.34 | 0.20 | -0.20 | -0.27 | -0.41 | -0.09 | 0.13 | 0.15 | -1.00 | 0.63 | -0.29 | -0.09 | 1.00 | ||||
| Ba | -0.62 | 0.84 | 0.00 | -0.28 | -0.27 | 0.24 | 0.32 | -0.15 | 0.24 | -0.22 | 1.00 | -0.01 | 0.22 | 0.83 | -0.17 | 1.00 | |||
| Cd | 0.14 | -0.19 | -0.06 | 0.35 | 0.12 | -0.39 | -0.64 | -0.40 | 0.01 | 0.22 | -1.00 | 0.58 | 0.20 | -0.32 | 0.54 | -0.31 | 1.00 | ||
| Ag | -0.02 | -0.20 | 0.09 | 0.33 | 0.33 | 0.17 | 0.05 | -0.35 | -0.25 | 0.11 | 1.00 | -0.03 | 0.11 | -0.27 | -0.14 | -0.45 | 0.34 | 1 | |
| b) | |||||||||||||||||||
| Sr | Rb | Cu | Pb | As | Co | Cr | Ni | Mn | Zn | Sc | Zr | Hg | V | Sb | Ba | Cd | Ag | ||
| Sr | 1.00 | ||||||||||||||||||
| Rb | -0.70 | 1.00 | |||||||||||||||||
| Cu | 0.16 | 0.23 | 1.00 | ||||||||||||||||
| Pb | -0.02 | 0.28 | 0.49 | 1.00 | |||||||||||||||
| As | 0.30 | -0.23 | -0.30 | 0.57 | 1.00 | ||||||||||||||
| Co | 0.31 | -0.33 | -0.32 | 0.12 | 0.52 | 1.00 | |||||||||||||
| Cr | -0.76 | 0.50 | -0.13 | -0.48 | -0.75 | -0.44 | 1.00 | ||||||||||||
| Ni | -0.03 | 0.25 | -0.39 | 0.16 | 0.56 | 0.13 | -0.22 | 1.00 | |||||||||||
| Mn | -0.52 | 0.13 | -0.60 | -0.30 | 0.05 | -0.02 | 0.35 | 0.53 | 1.00 | ||||||||||
| Zn | -0.21 | 0.41 | 0.62 | 0.92 | 0.27 | -0.09 | -0.17 | -0.10 | -0.38 | 1.00 | |||||||||
| Sc | 1.00 | ||||||||||||||||||
| Zr | -0.19 | 0.11 | 0.51 | 0.22 | -0.27 | -0.35 | 0.16 | -0.30 | 0.11 | 0.38 | 1.00 | ||||||||
| Hg | -0.18 | 0.20 | -0.23 | -0.60 | -0.40 | -0.62 | 0.44 | 0.32 | 0.50 | -0.52 | 0.17 | 1.00 | |||||||
| V | -0.63 | 0.77 | 0.08 | 0.01 | -0.41 | -0.05 | 0.70 | 0.02 | 0.09 | 0.22 | 0.07 | 0.03 | 1.00 | ||||||
| Sb | -0.13 | 0.02 | 0.19 | -0.11 | -0.25 | -0.01 | 0.12 | -0.22 | 0.28 | -0.02 | 0.77 | 0.27 | -0.03 | 1.00 | |||||
| Ba | -0.61 | 0.86 | 0.35 | 0.54 | -0.04 | -0.06 | 0.32 | 0.05 | -0.05 | 0.70 | 0.30 | -0.16 | 0.70 | 0.21 | 1.00 | ||||
| Cd | 0.19 | 0.18 | 0.09 | 0.59 | 0.66 | 0.26 | -0.51 | 0.78 | 0.12 | 0.36 | -0.10 | -0.08 | -0.08 | -0.14 | 0.23 | 1.00 | |||
| Ag | -0.67 | 0.41 | 0.10 | 0.30 | -0.10 | -0.26 | 0.37 | 0.11 | 0.34 | 0.35 | 0.02 | -0.13 | 0.32 | -0.28 | 0.30 | 0.11 | 1 | ||
| Element | 1 | 2 | 3 | 4 | 5 | 6 | 7 | 8 | 9 | 10 | ||||||||||
|---|---|---|---|---|---|---|---|---|---|---|---|---|---|---|---|---|---|---|---|---|
| PS | ES | PS | ES | PS | ES | PS | ES | PS | ES | PS | ES | PS | ES | PS | ES | PS | ES | PS | ES | |
| Cu | 1.65 | 2.80 | 2.50 | 1.80 | 1.40 | 1.25 | 1.55 | 1.80 | 1.70 | 1.65 | 2.75 | 1.75 | 2.10 | 1.50 | 2.25 | 1.40 | 1.95 | 2.45 | 1.75 | 2.00 |
| Pb | 1.10 | 5.40 | 1.85 | 1.45 | 1.20 | 2.00 | 0.80 | 1.15 | 1.45 | 1.60 | 3.60 | 4.60 | 0.80 | 1.05 | 1.35 | 1.45 | 1.25 | 1.45 | 1.75 | 1.15 |
| As | 1.12 | 1.14 | 1.00 | 1.20 | 1.26 | 1.28 | 0.80 | 0.90 | 1.38 | 1.26 | 1.60 | 1.68 | 1.00 | 1.06 | 1.04 | 1.20 | 0.90 | 0.96 | 0.86 | 0.90 |
| Co | 0.16 | 0.17 | 0.23 | 0.25 | 0.15 | 0.22 | 0.23 | 0.20 | 0.17 | 0.16 | 0.25 | 0.26 | 0.17 | 0.19 | 0.18 | 0.19 | 0.17 | 0.18 | 0.15 | 0.21 |
| Cr | 2.40 | 2.17 | 2.00 | 1.93 | 2.20 | 2.23 | 2.53 | 2.50 | 2.13 | 2.07 | 1.83 | 1.67 | 2.60 | 2.43 | 2.27 | 2.13 | 1.97 | 1.97 | 1.63 | 2.37 |
| Ni | 2.55 | 2.17 | 2.00 | 1.10 | 2.40 | 1.55 | 2.05 | 2.10 | 1.95 | 2.40 | 1.50 | 2.85 | 2.15 | 2.10 | 1.15 | 1.70 | 2.05 | 1.40 | 1.95 | 1.25 |
| Mn | 0.80 | 0.73 | 0.78 | 0.71 | 0.87 | 0.82 | 0.89 | 0.81 | 0.81 | 0.82 | 0.80 | 0.84 | 0.93 | 0.86 | 0.77 | 0.85 | 0.83 | 0.76 | 0.90 | 0.86 |
| Zn | 1.13 | 3.84 | 1.65 | 1.29 | 1.43 | 1.62 | 1.23 | 1.24 | 1.37 | 1.28 | 2.13 | 2.21 | 1.20 | 1.30 | 1.17 | 1.05 | 1.38 | 1.19 | 1.56 | 1.39 |
| Hg | 9.00 | 9.00 | 10.00 | 9.00 | 11.00 | 9.00 | 10.00 | 10.00 | 12.00 | 11.00 | 11.00 | 9.00 | 10.00 | 11.00 | 9.00 | 10.00 | 8.00 | 10.00 | 11.00 | 10.00 |
| V | 1.70 | 1.84 | 1.64 | 1.66 | 1.22 | 1.64 | 2.12 | 2.08 | 1.86 | 1.58 | 1.40 | 1.62 | 1.86 | 1.80 | 1.58 | 1.60 | 1.64 | 1.46 | 1.58 | 1.78 |
| Sb | 0.10 | 0.10 | 0.10 | 0.10 | 0.10 | 0.10 | 0.10 | 0.10 | 0.10 | 0.10 | 0.10 | 0.10 | 0.10 | 0.11 | 0.10 | 0.10 | 0.10 | 0.10 | 0.11 | 0.11 |
| Ba | 1.65 | 2.61 | 2.17 | 1.93 | 1.58 | 1.87 | 2.56 | 2.24 | 2.58 | 1.75 | 1.85 | 2.16 | 2.41 | 2.39 | 2.04 | 1.89 | 2.00 | 1.72 | 2.00 | 2.01 |
| Cd | 0.15 | 0.14 | 0.07 | 0.10 | 0.12 | 0.12 | 0.09 | 0.13 | 0.15 | 0.16 | 0.17 | 0.23 | 0.10 | 0.14 | 0.16 | 0.08 | 0.14 | 0.13 | 0.25 | 0.10 |
| Ag | 1.75 | 1.80 | 1.65 | 1.40 | 1.70 | 1.85 | 1.70 | 1.80 | 1.65 | 1.60 | 1.75 | 1.70 | 1.65 | 1.65 | 1.75 | 1.70 | 1.60 | 1.70 | 1.70 | 1.70 |
| Element | 1 | 2 | 3 | 4 | 5 | 6 | 7 | 8 | 9 | 10 | |||||||||||
|---|---|---|---|---|---|---|---|---|---|---|---|---|---|---|---|---|---|---|---|---|---|
| PS | ES | PS | ES | PS | ES | PS | ES | PS | ES | PS | ES | PS | ES | PS | ES | PS | ES | PS | ES | ||
| Cu | 0.72 | 1.49 | 1.32 | 0.85 | 0.49 | 0.32 | 0.63 | 0.85 | 0.77 | 0.72 | 1.46 | 0.81 | 1.07 | 0.58 | 1.17 | 0.49 | 0.96 | 1.29 | 0.81 | 1.00 | |
| Pb | 0.14 | 2.43 | 0.89 | 0.54 | 0.26 | 1.00 | -0.32 | 0.20 | 0.54 | 0.68 | 1.85 | 2.20 | -0.32 | 0.07 | 0.43 | 0.54 | 0.32 | 0.54 | 0.81 | 0.20 | |
| As | 0.16 | 0.19 | 0.00 | 0.26 | 0.33 | 0.36 | -.032 | -0.15 | 0.46 | 0.33 | 0.68 | 0.75 | 0.00 | 0.08 | 0.06 | 0.26 | -0.15 | -0.06 | -0.22 | -0.15 | |
| Co | -2.64 | -2.58 | -2.10 | -2.02 | -2.71 | -2.18 | -2.14 | -2.32 | -2.53 | -2.64 | -1.98 | -1.94 | -2.58 | -2.42 | -2.47 | -2.42 | -2.58 | -2.47 | -2.77 | -2.27 | |
| Cr | 1.26 | 1.12 | 1.00 | 0.95 | 1.14 | 1.16 | 1.34 | 1.32 | 1.09 | 1.05 | 0.87 | 0.74 | 1.38 | 1.28 | 1.18 | 1.09 | 0.98 | 0.98 | 0.71 | 1.24 | |
| Ni | 1.35 | 0.32 | 1.26 | 0.14 | 1.26 | 0.63 | 1.04 | 1.07 | 0.96 | 1.26 | 0.58 | 1.51 | 1.10 | 1.07 | 0.20 | 0.77 | 1.04 | 0.49 | 0.96 | 0.32 | |
| Mn | -0.31 | -0.45 | -0.35 | -0.49 | -0.19 | -0.28 | -0.16 | -0.30 | -0.30 | -0.29 | -0.33 | -0.26 | -0.10 | -0.21 | -0.38 | -0.24 | -0.28 | -0.39 | -0.15 | -0.22 | |
| Zn | 0.18 | 1.94 | 0.72 | 0.37 | 0.51 | 0.70 | 0.30 | 0.31 | 0.45 | 0.35 | 1.09 | 1.14 | 0.26 | 0.38 | 0.23 | 0.07 | 0.46 | 0.25 | 0.64 | 0.48 | |
| Hg | 3.17 | 3.17 | 3.32 | 3.17 | 3.46 | 3.17 | 3.32 | 3.32 | 3.58 | 3.46 | 3.46 | 3.17 | 3.32 | 3.46 | 3.17 | 3.32 | 3.00 | 3.32 | 3.46 | 3.32 | |
| V | 0.77 | 0.88 | 0.71 | 0.73 | 0.29 | 0.71 | 1.08 | 1.06 | 0.90 | 0.66 | 0.49 | 0.70 | 0.90 | 0.85 | 0.66 | 0.68 | 0.71 | 0.55 | 0.66 | 0.83 | |
| Sb | -3.29 | -3.29 | -3.32 | -3.29 | -3.38 | -3.35 | -3.38 | -3.35 | -3.35 | -3.32 | -3.29 | -3.29 | -3.27 | -3.24 | -3.23 | -3.29 | -3.27 | -3.29 | -3.24 | -3.21 | |
| Ba | 0.72 | 1.38 | 1.12 | 0.95 | 0.66 | 0.90 | 1.36 | 1.16 | 1.36 | 0.80 | 0.89 | 1.11 | 1.27 | 1.25 | 1.03 | 0.92 | 1.00 | 0.78 | 1.00 | 1.01 | |
| Cd | -2.74 | -2.84 | -3.84 | -3.32 | -3.06 | -3.06 | -3.47 | -2.94 | -2.74 | -2.64 | -2.56 | -2.12 | -3.32 | -2.84 | -2.64 | -3.64 | -2.84 | -2.94 | -2.00 | -3.32 | |
| Ag | 0.81 | 0.85 | 0.72 | 0.49 | 0.77 | 0.89 | 0.77 | 0.85 | 0.72 | 0.68 | 0.81 | 0.77 | 0.72 | 0.72 | 0.81 | 0.77 | 0.68 | 0.77 | 0.77 | 0.77 | |
| Element | 1 | 2 | 3 | 4 | 5 | 6 | 7 | 8 | 9 | 10 | |||||||||||||
|---|---|---|---|---|---|---|---|---|---|---|---|---|---|---|---|---|---|---|---|---|---|---|---|
| PS | ES | PS | ES | PS | ES | PS | ES | PS | ES | PS | ES | PS | ES | PS | ES | PS | ES | PS | ES | ||||
| Cu | 1.91 | 3.24 | 2.89 | 2.08 | 1.62 | 1.45 | 1.79 | 2.08 | 1.97 | 1.91 | 3.18 | 2.02 | 2.43 | 1.73 | 2.60 | 1.62 | 2.25 | 2.83 | 2.02 | 2.31 | |||
| Pb | 0.67 | 3.31 | 1.13 | 0.89 | 0.74 | 1.23 | 0.49 | 0.71 | 0.89 | 0.98 | 2.21 | 2.82 | 0.49 | 0.64 | 0.83 | 0.89 | 0.77 | 0.89 | 1.07 | 0.71 | |||
| As | 0.48 | 0.49 | 0.43 | 0.52 | 0.54 | 0.55 | 0.34 | 0.39 | 0.59 | 0.54 | 0.69 | 0.72 | 0.43 | 0.46 | 0.45 | 0.52 | 0.39 | 0.41 | 0.37 | 0.39 | |||
| Co | 0.23 | 0.24 | 0.34 | 0.36 | 0.22 | 0.32 | 0.33 | 0.29 | 0.25 | 0.23 | 0.37 | 0.38 | 0.24 | 0.27 | 0.26 | 0.27 | 0.24 | 0.26 | 0.21 | 0.30 | |||
| Cr | 0.76 | 0.69 | 0.63 | 0.61 | 0.70 | 0.71 | 0.80 | 0.79 | 0.68 | 0.65 | 0.58 | 0.53 | 0.82 | 0.77 | 0.72 | 0.68 | 0.62 | 0.62 | 0.52 | 0.75 | |||
| Ni | 1.37 | 0.67 | 1.29 | 0.59 | 1.29 | 0.83 | 1.10 | 1.13 | 1.05 | 1.29 | 0.80 | 1.53 | 1.15 | 1.13 | 0.62 | 0.91 | 1.10 | 0.75 | 1.05 | 0.67 | |||
| Mn | 0.89 | 0.81 | 0.87 | 0.79 | 0.97 | 0.92 | 0.99 | 0.90 | 0.90 | 0.91 | 0.88 | 0.93 | 1.03 | 0.96 | 0.85 | 0.94 | 0.92 | 0.85 | 1.00 | 0.95 | |||
| Zn | 1.66 | 5.63 | 2.42 | 1.90 | 2.09 | 2.38 | 1.81 | 1.83 | 2.01 | 1.87 | 3.12 | 3.25 | 1.76 | 1.90 | 1.72 | 1.54 | 2.02 | 1.74 | 2.28 | 2.05 | |||
| Hg | 14.75 | 14.75 | 16.39 | 14.75 | 18.03 | 14.75 | 16.39 | 16.39 | 19.67 | 18.03 | 18.03 | 14.75 | 16.39 | 18.03 | 14.75 | 16.39 | 13.11 | 16.39 | 18.03 | 16.39 | |||
| V | 1.25 | 1.35 | 1.20 | 1.22 | 0.90 | 1.20 | 1.56 | 1.53 | 1.37 | 1.16 | 1.03 | 1.19 | 1.37 | 1.32 | 1.16 | 1.17 | 1.20 | 1.07 | 1.16 | 1.31 | |||
| Sb | 0.49 | 0.49 | 0.48 | 0.49 | 0.46 | 0.47 | 0.47 | 0.48 | 0.49 | 0.49 | 0.50 | 0.51 | 0.48 | 0.49 | 0.50 | 0.49 | 0.50 | 0.49 | 0.51 | 0.52 | |||
| Ba | 0.83 | 1.30 | 1.09 | 0.97 | 0.79 | 0.94 | 1.28 | 1.12 | 1.29 | 0.87 | 0.93 | 1.08 | 1.21 | 1.19 | 1.02 | 0.95 | 1.00 | 0.86 | 1.00 | 1.01 | |||
| Cd | 0.54 | 0.50 | 0.25 | 0.36 | 0.43 | 0.43 | 0.32 | 0.46 | 0.54 | 0.57 | 0.61 | 0.82 | 0.36 | 0.50 | 0.57 | 0.29 | 0.50 | 0.46 | 0.89 | 0.36 | |||
| Ag | 11.51 | 11.84 | 10.86 | 9.21 | 11.18 | 12.17 | 11.18 | 11.84 | 10.86 | 10.53 | 11.51 | 11.18 | 10.86 | 10.86 | 11.51 | 11.18 | 10.53 | 11.18 | 11.18 | 11.18 | |||
| Site | Element | Pathways | |||||||
|---|---|---|---|---|---|---|---|---|---|
| EDI Ingestion E-4 | EDI Dermal E-6 | EDI Inhalation E-9 | EDI Vaporization E-3 | ||||||
| PS | ES | PS | ES | PS | ES | PS | ES | ||
| 1 | Sr | 10.74 | 9.72 | 3.01 | 2.72 | 30.01 | 27.15 | - | - |
| Rb | 9.33 | 11.12 | 2.61 | 3.11 | 26.8 | 31.08 | - | - | |
| Cu | 4.22 | 7.16 | 1.18 | 2.00 | 11.79 | 20.01 | - | - | |
| Pb | 2.81 | 13.81 | 0.79 | 3.87 | 7.86 | 38.58 | - | - | |
| As | 0.72 | 0.73 | 0.20 | 0.20 | 2.00 | 2.04 | - | - | |
| Ni | 6.52 | 3.20 | 1.83 | 0.89 | 18.22 | 8.93 | - | - | |
| Zn | 14.49 | 49.04 | 4.06 | 13.73 | 40.48 | 137.04 | - | - | |
| Zr | 41.81 | 43.85 | 11.71 | 12.28 | 116.82 | 122.53 | - | - | |
| V | 10.87 | 11.76 | 3.04 | 3.29 | 30.37 | 32.87 | - | - | |
| Cd | 0.019 | 0.018 | 0.01 | 0.01 | 0.05 | 0.05 | - | - | |
| Ag | 0.45 | 0.46 | 0.13 | 0.13 | 1.25 | 1.29 | - | - | |
| Hg | 0.12 | 0.12 | 0.03 | 0.03 | 0.32 | 0.32 | 0.35 | 0.35 | |
| 2 | Sr | 11.25 | 17.26 | 3.15 | 4.83 | 31.44 | 48.23 | - | - |
| Rb | 8.82 | 8.69 | 2.47 | 2.43 | 24.65 | 24.29 | - | - | |
| Cu | 6.39 | 4.60 | 1.79 | 1.29 | 17.86 | 12.86 | - | - | |
| Pb | 4.73 | 3.71 | 1.32 | 1.04 | 13.22 | 10.36 | - | - | |
| As | 0.64 | 0.77 | 0.18 | 0.21 | 1.79 | 2.14 | - | - | |
| Ni | 6.14 | 2.81 | 1.72 | 0.79 | 17.15 | 7.86 | - | - | |
| Zn | 21.07 | 16.54 | 5.90 | 4.63 | 58.87 | 46.23 | - | - | |
| Zr | 38.48 | 38.10 | 10.78 | 10.67 | 107.53 | 106.46 | - | - | |
| V | 10.48 | 10.61 | 2.94 | 2.97 | 29.29 | 29.65 | - | - | |
| Cd | 0.009 | 0.013 | 0 | 0 | 0.03 | 0.04 | - | - | |
| Ag | 0.42 | 0.36 | 0.12 | 0.10 | 1.18 | 1.00 | - | - | |
| Hg | 0.13 | 0.12 | 0.04 | 0.03 | 0.36 | 0.32 | 0.39 | 0.35 | |
| 3 | Sr | 14.83 | 10.36 | 4.15 | 2.90 | 41.44 | 28.94 | - | - |
| Rb | 6.52 | 8.82 | 1.83 | 2.47 | 18.22 | 24.65 | - | - | |
| Cu | 3.58 | 3.20 | 1.00 | 0.89 | 10.00 | 8.93 | - | - | |
| Pb | 3.07 | 5.11 | 0.86 | 1.43 | 8.57 | 14.29 | - | - | |
| As | 0.81 | 0.82 | 0.23 | 0.23 | 2.25 | 2.29 | - | - | |
| Ni | 6.14 | 3.96 | 1.72 | 1.11 | 17.15 | 11.07 | - | - | |
| Zn | 18.22 | 20.70 | 5.10 | 5.80 | 50.91 | 57.84 | - | - | |
| Zr | 33.24 | 36.69 | 9.31 | 10.27 | 92.88 | 102.53 | - | - | |
| V | 7.80 | 10.48 | 2.18 | 2.94 | 21.79 | 29.29 | - | - | |
| Cd | 0.015 | 0.015 | 0 | 0 | 0.04 | 0.04 | - | - | |
| Ag | 0.43 | 0.47 | 0.12 | 0.13 | 1.21 | 1.32 | - | - | |
| Hg | 0.14 | 0.12 | 0.04 | 0.03 | 0.39 | 0.32 | 0.43 | 0.35 | |
| 4 | Sr | 8.69 | 9.59 | 2.43 | 2.68 | 24.29 | 26.79 | - | - |
| Rb | 11.12 | 11.25 | 3.11 | 3.15 | 31.08 | 31.44 | - | - | |
| Cu | 3.96 | 4.60 | 1.11 | 1.29 | 11.07 | 12.86 | - | - | |
| Pb | 2.05 | 2.94 | 0.57 | 0.82 | 5.72 | 8.22 | - | - | |
| As | 0.51 | 0.58 | 0.14 | 0.16 | 1.43 | 1.61 | - | - | |
| Ni | 5.24 | 5.37 | 1.47 | 1.50 | 14.65 | 15.00 | - | - | |
| Zn | 15.76 | 15.91 | 4.41 | 4.45 | 44.05 | 44.44 | - | - | |
| Zr | 31.32 | 36.69 | 8.77 | 10.27 | 87.52 | 102.53 | - | - | |
| V | 13.55 | 13.30 | 3.79 | 3.72 | 37.87 | 37.15 | - | - | |
| Cd | 0.012 | 0.017 | 0.00 | 0.00 | 0.03 | 0.05 | - | - | |
| Ag | 0.43 | 0.46 | 0.12 | 0.13 | 1.21 | 1.29 | - | - | |
| Hg | 0.13 | 0.13 | 0.04 | 0.04 | 0.36 | 0.36 | 0.39 | 0.39 | |
| 5 | Sr | 9.46 | 15.09 | 2.65 | 4.22 | 26.44 | 42.15 | - | - |
| Rb | 10.48 | 9.21 | 2.94 | 2.58 | 29.29 | 25.72 | - | - | |
| Cu | 4.35 | 4.22 | 1.22 | 1.18 | 12.15 | 11.79 | - | - | |
| Pb | 3.71 | 4.09 | 1.04 | 1.15 | 10.36 | 11.43 | - | - | |
| As | 0.88 | 0.81 | 0.25 | 0.23 | 2.46 | 2.25 | - | - | |
| Ni | 4.99 | 6.14 | 1.40 | 1.72 | 13.93 | 17.15 | - | - | |
| Zn | 17.50 | 16.30 | 4.90 | 4.56 | 48.91 | 45.55 | - | - | |
| Zr | 42.70 | 40.53 | 11.96 | 11.35 | 119.32 | 113.24 | - | - | |
| V | 11.89 | 10.10 | 3.33 | 2.83 | 33.22 | 28.22 | - | - | |
| Cd | 0.019 | 0.020 | 0.01 | 0.01 | 0.05 | 0.06 | - | - | |
| Ag | 0.42 | 0.41 | 0.12 | 0.11 | 1.18 | 1.14 | - | - | |
| Hg | 0.15 | 0.14 | 0.04 | 0.04 | 0.43 | 0.39 | 0.47 | 0.43 | |
| 6 | Sr | 13.68 | 14.19 | 3.83 | 3.97 | 38.22 | 39.65 | - | - |
| Rb | 8.95 | 9.72 | 2.51 | 2.72 | 25.01 | 27.15 | - | - | |
| Cu | 7.03 | 4.47 | 1.97 | 1.25 | 19.65 | 12.50 | - | - | |
| Pb | 9.21 | 11.76 | 2.58 | 3.29 | 25.72 | 32.87 | - | - | |
| As | 1.02 | 1.07 | 0.29 | 0.30 | 2.86 | 3.00 | - | - | |
| Ni | 3.84 | 7.29 | 1.07 | 2.04 | 10.72 | 20.36 | - | - | |
| Zn | 27.21 | 28.26 | 7.62 | 7.91 | 76.02 | 78.95 | - | - | |
| Zr | 36.95 | 39.00 | 10.35 | 10.92 | 103.24 | 108.96 | - | - | |
| V | 8.95 | 10.36 | 2.51 | 2.90 | 25.01 | 28.94 | - | - | |
| Cd | 0.022 | 0.029 | 0.01 | 0.01 | 0.06 | 0.08 | - | - | |
| Ag | 0.45 | 0.43 | 0.13 | 0.12 | 1.25 | 1.21 | - | - | |
| Hg | 0.14 | 0.12 | 0.04 | 0.03 | 0.39 | 0.32 | 0.43 | 0.35 | |
| 7 | Sr | 8.57 | 8.18 | 2.40 | 2.29 | 23.93 | 22.86 | - | - |
| Rb | 11.00 | 11.00 | 3.08 | 3.08 | 30.72 | 30.72 | - | - | |
| Cu | 5.37 | 3.84 | 1.50 | 1.07 | 15.00 | 10.72 | - | - | |
| Pb | 2.05 | 2.68 | 0.57 | 0.75 | 5.72 | 7.50 | - | - | |
| As | 0.64 | 0.68 | 0.18 | 0.19 | 1.79 | 1.89 | - | - | |
| Ni | 5.50 | 5.37 | 1.54 | 1.50 | 15.36 | 15.00 | - | - | |
| Zn | 15.29 | 16.58 | 4.28 | 4.64 | 42.73 | 46.33 | - | - | |
| Zr | 39.25 | 40.53 | 10.99 | 11.35 | 109.67 | 113.24 | - | - | |
| V | 11.89 | 11.51 | 3.33 | 3.22 | 33.22 | 32.15 | - | - | |
| Cd | 0.013 | 0.018 | 0.00 | 0.01 | 0.04 | 0.05 | - | - | |
| Ag | 0.42 | 0.42 | 0.12 | 0.12 | 1.18 | 1.18 | - | - | |
| Hg | 0.13 | 0.14 | 0.04 | 0.04 | 0.36 | 0.39 | 0.39 | 0.43 | |
| 8 | Sr | 14.45 | 10.23 | 4.05 | 2.86 | 40.37 | 28.58 | - | - |
| Rb | 8.82 | 9.72 | 2.47 | 2.72 | 24.65 | 27.15 | - | - | |
| Cu | 5.75 | 3.58 | 1.61 | 1.00 | 16.08 | 10.00 | - | - | |
| Pb | 3.45 | 3.71 | 0.97 | 1.04 | 9.65 | 10.36 | - | - | |
| As | 0.66 | 0.77 | 0.19 | 0.21 | 1.86 | 2.14 | - | - | |
| Ni | 2.94 | 4.35 | 0.82 | 1.22 | 8.22 | 12.15 | - | - | |
| Zn | 14.97 | 13.42 | 4.19 | 3.76 | 41.83 | 37.51 | - | - | |
| Zr | 40.91 | 39.51 | 11.46 | 11.06 | 114.32 | 110.39 | - | - | |
| V | 10.10 | 10.23 | 2.83 | 2.86 | 28.22 | 28.58 | - | - | |
| Cd | 0.020 | 0.010 | 0.01 | 0.00 | 0.06 | 0.03 | - | - | |
| Ag | 0.45 | 0.43 | 0.13 | 0.12 | 1.25 | 1.21 | - | - | |
| Hg | 0.12 | 0.13 | 0.03 | 0.04 | 0.32 | 0.36 | 0.35 | 0.39 | |
| 9 | Sr | 17.00 | 15.85 | 4.76 | 4.44 | 47.51 | 44.30 | - | - |
| Rb | 8.95 | 8.95 | 2.51 | 2.51 | 25.01 | 25.01 | - | - | |
| Cu | 4.99 | 6.26 | 1.40 | 1.75 | 13.93 | 17.50 | - | - | |
| Pb | 3.20 | 3.71 | 0.89 | 1.04 | 8.93 | 10.36 | - | - | |
| As | 0.58 | 0.61 | 0.16 | 0.17 | 1.61 | 1.71 | - | - | |
| Ni | 5.24 | 3.58 | 1.47 | 1.00 | 14.65 | 10.00 | - | - | |
| Zn | 17.63 | 15.16 | 4.94 | 4.25 | 49.26 | 42.37 | - | - | |
| Zr | 38.87 | 39.38 | 10.88 | 11.03 | 108.60 | 110.03 | - | - | |
| V | 10.48 | 9.33 | 2.94 | 2.61 | 29.29 | 26.08 | - | - | |
| Cd | 0.018 | 0.017 | 0.01 | 0.00 | 0.05 | 0.05 | - | - | |
| Ag | 0.41 | 0.43 | 0.11 | 0.12 | 1.14 | 1.21 | - | - | |
| Hg | 0.10 | 0.13 | 0.03 | 0.04 | 0.29 | 0.36 | 0.31 | 0.39 | |
| 10 | Sr | 10.36 | 11.00 | 2.90 | 3.08 | 28.94 | 30.72 | - | - |
| Rb | 8.95 | 9.21 | 2.51 | 2.58 | 25.01 | 25.72 | - | - | |
| Cu | 4.47 | 5.11 | 1.25 | 1.43 | 12.50 | 14.29 | - | - | |
| Pb | 4.47 | 2.94 | 1.25 | 0.82 | 12.50 | 8.22 | - | - | |
| As | 0.55 | 0.58 | 0.15 | 0.16 | 1.54 | 1.61 | - | - | |
| Ni | 4.99 | 3.20 | 1.40 | 0.89 | 13.93 | 8.93 | - | - | |
| Zn | 19.89 | 17.82 | 5.57 | 4.99 | 55.59 | 49.80 | - | - | |
| Zr | 43.21 | 46.16 | 12.10 | 12.92 | 120.75 | 128.96 | - | - | |
| V | 10.10 | 11.38 | 2.83 | 3.19 | 28.22 | 31.79 | - | - | |
| Cd | 0.032 | 0.013 | 0.01 | 0.00 | 0.09 | 0.04 | - | - | |
| Ag | 0.43 | 0.43 | 0.12 | 0.12 | 1.21 | 1.21 | - | - | |
| Hg | 0.14 | 0.13 | 0.04 | 0.04 | 0.39 | 0.36 | 0.43 | 0.39 | |
| Site | Element | Pathway | HI | ||||||||
|---|---|---|---|---|---|---|---|---|---|---|---|
| HQ Ingestion |
HQ Dermal |
HQ Inhalation |
HQ Vaporization | ||||||||
| PS | ES | PS | ES | PS | ES | PS | ES | PS | ES | ||
| 1 | Cu | 105.48 E-4 | 179 E-4 | 0.30 E-4 | 0.50 E-4 | 9.82 E-7 | 16.67 E-7 | - | - | 105.78 E-4 | 179.51 E-4 |
| Pb | 80.37 E-3 | 394.52 E-3 | 0.80 E-3 | 0.96 E-3 | 4.97 E-6 | 5.92 E-6 | - | - | 80.61 E-3 | 395.72 E-3 | |
| As | 23.87 E-2 | 24.29 E-2 | 0.07 E-2 | 0.07 E-2 | 1.63 E-5 | 1.66 E-5 | - | - | 23.93 E-2 | 24.36 E-2 | |
| Ni | 326.03 E-4 | 159.82 E-4 | 0.89 E-4 | 0.43 E-4 | 3.37 E-6 | 1.65 E-6 | - | - | 326.95 E-4 | 160.27 E-4 | |
| Zn | 482.86 E-5 | 1634.82 E-5 | 1.35 E-5 | 4.58 E-5 | 6.75 E-7 | 22.84 E-7 | - | - | 484.28 E-5 | 1639.63 E-5 | |
| Cd | 1.91 E-3 | 1.79 E-3 | 5.40 E-6 | 5.00 E-6 | 0.11 E-5 | 0.10 E-5 | - | - | 1.92 E-3 | 1.79 E-3 | |
| Hg | 3.84 E-2 | 3.84 E-2 | 3.76 E-4 | 3.76 E-4 | 0.15 E-4 | 0.15 E-4 | 4.02 E-5 | 4.02 E-5 | 3.87 E-2 | 3.99 E-2 | |
| 2 | Cu | 159.82 E-4 | 115.07 E-4 | 0.45 E-4 | 0.32 E-4 | 14.88 E-7 | 10.72 E-7 | - | - | 160.28 E-4 | 115.40 E-4 |
| Pb | 135.16 E-3 | 105.94 E-3 | 0.76 E-3 | 0.75 E-3 | 4.70 E-6 | 4.63 E-6 | - | - | 135.57 E-3 | 106.26 E-3 | |
| As | 21.31 E-2 | 25.57 E-2 | 0.06 E-2 | 0.07 E-2 | 1.45 E-5 | 1.74 E-5 | - | - | 21.37 E-2 | 25.64 E-2 | |
| Ni | 306.85 E-4 | 140.64 E-4 | 0.83 E-4 | 0.38 E-4 | 3.18 E-6 | 1.46 E-6 | - | - | 307.72 E-4 | 141.04 E-4 | |
| Zn | 702.34 E-5 | 551.48 E-5 | 1.97 E-5 | 1.54 E-5 | 9.81 E-7 | 7.70 E-7 | - | - | 704.41 E-5 | 553.10 E-5 | |
| Cd | 0.89 E-3 | 1.28 E-3 | 2.50 E-6 | 3.60 E-6 | 0.05 E-5 | 0.07 E-5 | - | - | 135.57 E-3 | 106.26 E-3 | |
| Hg | 4.26 E-2 | 3.84 E-2 | 4.18 E-4 | 3.76 E-4 | 0.17 E-4 | 0.15 E-4 | 4.47 E-5 | 4.02 E-5 | 4.44 E-2 | 3.99 E-2 | |
| 3 | Cu | 89.50 E-4 | 79.91 E-4 | 0.25 E-4 | 0.22 E-4 | 8.34 E-7 | 7.44 E-7 | - | - | 89.76 E-4 | 80.14 E-4 |
| Pb | 87.67 E-3 | 146.12 E-3 | 0.56 E-3 | 0.76 E-3 | 3.47 E-6 | 4.70 E-6 | - | - | 87.94 E-3 | 146.56 E-3 | |
| As | 26.85 E-2 | 27.28 E-2 | 0.07 E-2 | 0.08 E-2 | 1.83 E-5 | 1.86 E-5 | - | - | 26.93 E-2 | 27.35 E-2 | |
| Ni | 306.85 E-4 | 198.17 E-4 | 0.83 E-4 | 0.54 E-4 | 3.18 E-6 | 2.05 E-6 | - | - | 307.72 E-4 | 198.73 E-4 | |
| Zn | 607.31 E-5 | 689.98 E-5 | 1.70 E-5 | 1.93 E-5 | 8.48 E-7 | 9.64 E-7 | - | - | 609.09 E-5 | 692.01 E-5 | |
| Cd | 1.53 E-3 | 1.53 E-3 | 4.30 E-6 | 4.30 E-6 | 0.09 E-5 | 0.09 E-5 | - | - | 87.94 E-3 | 146.56 E-3 | |
| Hg | 4.69 E-2 | 3.84 E-2 | 4.59 E-4 | 3.76 E-4 | 0.19 E-4 | 0.15 E-4 | 4.92 E-5 | 4.02 E-5 | 4.88 E-2 | 3.99 E-2 | |
| 4 | Cu | 99.09 E-4 | 115.07 E-4 | 0.28 E-4 | 0.32 E-4 | 9.23 E-7 | 10.72 E-7 | - | - | 99.37 E-4 | 115.40 E-4 |
| Pb | 58.45 E-3 | 84.02 E-3 | 0.96 E-3 | 0.97 E-3 | 5.92 E-6 | 5.99 E-6 | - | - | 58.62 E-3 | 84.27 E-3 | |
| As | 17.05 E-2 | 19.18 E-2 | 0.05 E-2 | 0.05 E-2 | 1.16 E-5 | 1.31 E-5 | - | - | 17.10 E-2 | 19.23 E-2 | |
| Ni | 262.10 E-4 | 268.49 E-4 | 0.71 E-4 | 0.73 E-4 | 2.71 E-6 | 2.78 E-6 | - | - | 262.84 E-4 | 269.25 E-4 | |
| Zn | 525.48 E-5 | 530.17 E-5 | 1.47 E-5 | 1.48 E-5 | 7.34 E-7 | 7.41 E-7 | - | - | 527.02 E-5 | 531.73 E-5 | |
| Cd | 1.15 E-3 | 1.66 E-3 | 3.20 E-6 | 4.70 E-6 | 0.06 E-5 | 0.09 E-5 | - | - | 58.62 E-3 | 84.27 E-3 | |
| Hg | 4.26 E-2 | 4.26 E-2 | 4.18 E-4 | 4.18 E-4 | 0.17 E-4 | 0.17 E-4 | 4.47 E-5 | 4.47 E-5 | 4.44 E-2 | 4.44 E-2 | |
| 5 | Cu | 108.68 E-4 | 105.48 E-4 | 0.30 E-4 | 0.30 E-4 | 10.12 E-7 | 9.82 E-7 | - | - | 108.99 E-4 | 105.78 E-4 |
| Pb | 105.94 E-3 | 116.89 E-3 | 0.90 E-3 | 0.79 E-3 | 5.58 E-6 | 4.90 E-6 | - | - | 106.26 E-3 | 117.25 E-3 | |
| As | 29.41 E-2 | 26.85 E-2 | 0.08 E-2 | 0.07 E-2 | 2.00 E-5 | 1.83 E-5 | - | - | 29.49 E-2 | 26.93 E-2 | |
| Ni | 249.32 E-4 | 306.85 E-4 | 0.68 E-4 | 0.83 E-4 | 2.58 E-6 | 3.18 E-6 | - | - | 250.02 E-4 | 307.72 E-4 | |
| Zn | 583.44 E-5 | 543.38 E-5 | 1.63 E-5 | 1.52 E-5 | 8.15 E-7 | 7.59 E-7 | - | - | 585.16 E-5 | 544.98 E-5 | |
| Cd | 1.92 E-3 | 2.05 E-3 | 5.40 E-6 | 5.70 E-6 | 0.10 E-5 | 0.11 E-5 | - | - | 106.26 E-3 | 117.25 E-3 | |
| Hg | 5.11 E-2 | 4.69 E-2 | 5.01 E-4 | 4.59 E-4 | 0.20 E-4 | 0.19 E-4 | 5.37 E-5 | 4.92 E-5 | 5.32 E-2 | 4.88 E-2 | |
| 6 | Cu | 175.80 E-4 | 111.87 E-4 | 0.49 E-4 | 0.31 E-4 | 16.37 E-7 | 10.42 E-7 | - | - | 176.31 E-4 | 112.20 E-4 |
| Pb | 263.01 E-3 | 336.07 E-3 | 0.77 E-3 | 0.84 E-3 | 4.76 E-6 | 5.17 E-6 | - | - | 263.81 E-3 | 337.09 E-3 | |
| As | 34.09 E-2 | 35.80 E-2 | 0.10 E-2 | 0.10 E-2 | 2.32 E-5 | 2.44 E-5 | - | - | 34.19 E-2 | 35.90 E-2 | |
| Ni | 191.78 E-4 | 364.38 E-4 | 0.52 E-4 | 0.99 E-4 | 1.98 E-6 | 3.77 E-6 | - | - | 192.32 E-4 | 365.41 E-4 | |
| Zn | 906.91 E-5 | 941.86 E-5 | 2.54 E-5 | 2.64 E-5 | 12.67 E-7 | 13.16 E-7 | - | - | 909.58 E-5 | 944.63 E-5 | |
| Cd | 2.17 E-3 | 2.94 E-3 | 6.10 E-6 | 8.20 E-6 | 0.12 E-5 | 0.16 E-5 | - | - | 263.81 E-3 | 337.09 E-3 | |
| Hg | 4.69 E-2 | 3.84 E-2 | 4.59 E-4 | 3.76 E-4 | 0.19 E-4 | 0.15 E-4 | 4.92 E-5 | 4.02 E-5 | 4.88 E-2 | 3.99 E-2 | |
| 7 | Cu | 134.25 E-4 | 95.89 E-4 | 0.38 E-4 | 0.27 E-4 | 12.50 E-7 | 8.93 E-7 | - | - | 134.63 E-4 | 96.17 E-4 |
| Pb | 58.45 E-3 | 76.71 E-3 | 0.95 E-3 | 0.95 E-3 | 5.85 E-6 | 5.85 E-6 | - | - | 58.62 E-3 | 76.95 E-3 | |
| As | 21.31 E-2 | 22.59 E-2 | 0.06 E-2 | 0.06 E-2 | 1.45 E-5 | 1.54 E-5 | - | - | 21.37 E-2 | 22.65 E-2 | |
| Ni | 274.89 E-4 | 268.49 E-4 | 0.75 E-4 | 0.73 E-4 | 2.84 E-6 | 2.78 E-6 | - | - | 275.66 E-4 | 269.25 E-4 | |
| Zn | 509.71 E-5 | 552.75 E-5 | 1.43 E-5 | 1.55 E-5 | 7.12 E-7 | 7.72 E-7 | - | - | 511.21 E-5 | 554.38 E-5 | |
| Cd | 1.28 E-3 | 1.79 E-3 | 3.60 E-6 | 5.50 E-6 | 0.07 E-5 | 0.10 E-5 | - | - | 58.62 E-3 | 76.95 E-3 | |
| Hg | 4.26 E-2 | 4.69 E-2 | 4.18 E-4 | 4.59 E-4 | 0.17 E-4 | 0.19 E-4 | 4.47 E-5 | 4.92 E-5 | 4.44 E-2 | 4.88 E-2 | |
| 8 | Cu | 143.84 E-4 | 89.50 E-4 | 0.40 E-4 | 0.25 E-4 | 13.40 E-7 | 8.34 E-7 | - | - | 144.25 E-4 | 89.76 E-4 |
| Pb | 98.63 E-3 | 105.94 E-3 | 0.76 E-3 | 0.84 E-3 | 4.70 E-6 | 5.17 E-6 | - | - | 98.93 E-3 | 106.26 E-3 | |
| As | 22.16 E-2 | 25.57 E-2 | 0.06 E-2 | 0.07 E-2 | 1.51 E-5 | 1.74 E-5 | - | - | 22.22 E-2 | 25.64 E-2 | |
| Ni | 147.03 E-4 | 217.35 E-4 | 0.40 E-4 | 0.59 E-4 | 1.52 E-6 | 2.25 E-6 | - | - | 147.45 E-4 | 217.96 E-4 | |
| Zn | 499.06 E-5 | 447.49 E-5 | 1.40 E-5 | 1.25 E-5 | 6.97 E-7 | 6.25 E-7 | - | - | 500.52 E-5 | 448.80 E-5 | |
| Cd | 2.05 E-3 | 1.02 E-3 | 5.70 E-6 | 2.90 E-6 | 0.11 E-5 | 0.06 E-5 | - | - | 98.93 E-3 | 106.26 E-3 | |
| Hg | 3.84 E-2 | 4.26 E-2 | 3.76 E-4 | 4.18 E-4 | 0.15 E-4 | 0.17 E-4 | 4.02 E-5 | 4.47 E-5 | 3.99 E-2 | 4.44 E-2 | |
| 9 | Cu | 12.66 E-4 | 156.62 E-4 | 0.35 E-4 | 0.44 E-4 | 11.61 E-7 | 14.59 E-7 | - | - | 125.02 E-4 | 157.07 E-4 |
| Pb | 91.32 E-3 | 105.94 E-3 | 0.77 E-3 | 0.77 E-3 | 4.76 E-6 | 4.76 E-6 | - | - | 91.60 E-3 | 106.26 E-3 | |
| As | 19.18 E-2 | 20.46 E-2 | 0.05 E-2 | 0.06 E-2 | 1.31 E-5 | 1.39 E-5 | - | - | 19.23 E-2 | 20.52 E-2 | |
| Ni | 262.10 E-4 | 179.00 E-4 | 0.71 E-4 | 0.49 E-4 | 2.71 E-6 | 1.85 E-6 | - | - | 262.84 E-4 | 179.50 E-4 | |
| Zn | 587.70 E-5 | 505.45 E-5 | 1.65 E-5 | 1.42 E-5 | 8.21 E-7 | 7.06 E-7 | - | - | 589.43 E-5 | 506.93 E-5 | |
| Cd | 1.79 E-3 | 1.66 E-3 | 5.00 E-6 | 4.70 E-6 | 0.10 E-5 | 0.09 E-5 | - | - | 91.60 E-3 | 106.26 E-3 | |
| Hg | 3.41 E-2 | 4.26 E-2 | 3.34 E-4 | 4.18 E-4 | 0.14 E-4 | 0.17 E-4 | 3.58 E-5 | 4.47 E-5 | 3.55 E-2 | 4.44 E-2 | |
| 10 | Cu | 111.87 E-4 | 127.85 E-4 | 0.31 E-4 | 0.36 E-4 | 10.42 E-7 | 11.91 E-7 | - | - | 112.20 E-4 | 128.22 E-4 |
| Pb | 127.85 E-3 | 84.02 E-3 | 0.77 E-3 | 0.79 E-3 | 4.76 E-6 | 4.90 E-6 | - | - | 128.24 E-3 | 84.27 E-3 | |
| As | 18.33 E-2 | 19.18 E-2 | 0.05 E-2 | 0.05 E-2 | 1.25 E-5 | 1.31 E-5 | - | - | 18.38 E-2 | 19.23 E-2 | |
| Ni | 249.32 E-4 | 159.82 E-4 | 0.68 E-4 | 0.43 E-4 | 2.58 E-6 | 1.65 E-6 | - | - | 250.02 E-4 | 160.27 E-4 | |
| Zn | 663.14 E-5 | 594.09 E-5 | 1.86 E-5 | 1.66 E-5 | 9.26 E-7 | 8.30 E-7 | - | - | 665.08 E-5 | 595.84 E-5 | |
| Cd | 3.20 E-3 | 1.28 E-3 | 8.90 E-6 | 3.60 E-6 | 0.18 E-5 | 0.07 E-5 | - | - | 128.24 E-3 | 84.27 E-3 | |
| Hg | 4.69 E-2 | 4.26 E-2 | 4.59 E-4 | 4.18 E-4 | 0.19 E-4 | 0.17 E-4 | 4.92 E-5 | 4.47 E-5 | 4.88 E-2 | 4.44 E-2 | |
| Element | Average concentration (wt. %) | |||||
|---|---|---|---|---|---|---|
| 2 | 3 | 10 | ||||
| ES | PS | ES | PS | ES | PS | |
| C | 19.57 | 25.28 | 25.30 | 46.83 | 33.19 | 34.76 |
| N | 1.21 | 1.25 | 1.24 | 1.91 | 0.82 | 1.44 |
| O | 27.01 | 29.90 | 31.52 | 26.22 | 29.85 | 33.34 |
| Na | 0.28 | 0.34 | 0.24 | 0.18 | 0.22 | 0.38 |
| Mg | 0.76 | 1.00 | 0.77 | 0.68 | 1.25 | 0.89 |
| Al | 4.03 | 4.90 | 4.48 | 2.40 | 4.57 | 3.88 |
| Si | 14.00 | 12.68 | 14.63 | 6.68 | 10.99 | 11.32 |
| P | 0.00 | 0.00 | 0.00 | 0.03 | 0.05 | 0.03 |
| S | 0.16 | 0.19 | 0.20 | 0.28 | 0.06 | 0.12 |
| K | 1.64 | 1.94 | 1.92 | 0.87 | 2.12 | 1.38 |
| Ca | 8.23 | 4.12 | 3.08 | 2.17 | 0.90 | 1.84 |
| Ti | 0.57 | 0.41 | 0.38 | 0.17 | 0.32 | 0.45 |
| Mn | 0.44 | 0.29 | 0.27 | 0.22 | 0.36 | 0.25 |
| Fe | 3.78 | 3.45 | 2.91 | 1.95 | 5.55 | 3.32 |
| Co | 0.39 | 0.27 | 0.36 | 0.21 | 0.41 | 0.28 |
| Ni | 0.59 | 0.36 | 0.36 | 0.24 | 0.43 | 0.35 |
| Cu | 0.85 | 0.56 | 0.63 | 0.36 | 0.91 | 0.35 |
| Zn | 0.56 | 0.50 | 0.45 | 0.32 | 0.73 | 0.44 |
| Hg | 3.52 | 2.62 | 2.18 | 1.37 | 2.38 | 1.96 |
| As | 0.52 | 0.40 | 0.05 | 0.31 | 0.20 | 0.15 |
| Pb | 3.39 | 2.82 | 3.11 | 1.94 | 2.86 | 1.90 |
| Se | 1.87 | 0.00 | 0.00 | 0.00 | 0.00 | 0.00 |
| Rb | 4.23 | 3.78 | 3.61 | 2.67 | 1.47 | 0.53 |
| Sr | 2.39 | 2.95 | 2.15 | 2.01 | 0.42 | 0.66 |
Disclaimer/Publisher’s Note: The statements, opinions and data contained in all publications are solely those of the individual author(s) and contributor(s) and not of MDPI and/or the editor(s). MDPI and/or the editor(s) disclaim responsibility for any injury to people or property resulting from any ideas, methods, instructions or products referred to in the content. |
© 2024 by the authors. Licensee MDPI, Basel, Switzerland. This article is an open access article distributed under the terms and conditions of the Creative Commons Attribution (CC BY) license (https://creativecommons.org/licenses/by/4.0/).
